UPDATED:
April 1, 2007

These horses are NOT
at our farm.

"Blackberry" - NEW!
"Forbidden" - on WEST COAST - Oregon - AT RISK
"Mark" - NEW!
"Lightbulb" -
17 hands!
"Zero"
- Well priced!
"Gettin Gray"
- NEW!
"Sweep" - NEW!
"Precious" - NEW!
"Dr. Canhewin" - SOLD!
"M D Orange" - GREY Filly
"Zealous" - NEW Photos!
"Cannolies"
- NEW!
"Moneyhoney" - NEW!
"Coin" - NEW PHOTOS!
"Tommy"
- Kind & gentle
"Alf" - Gorgeous!!

Not sure about buying a horse directly from the track? Read our Success Stories. The horses with the asterisk in front of their names were all bought directly from the track - sight unseen!

Don't forget to check our Bargain Barn Horses for Sale.

Our 25 special horses are all safe. Read their story .

Anthium aka "Andy"
Artic Vic SOLD!
Artic Vicky FOSTERED
Bad Hombre SOLD!
"Brett" SOLD!
My Boy Vic aka "Chap"
"Darling" FOSTERED
NEW Photos of her filly "Dottie"
Eddy's Departure NEEDS A NEW HOME
Finders Chance Now at Bits & Bytes Farm
Finders Girl
Deceased
He Named Me Katie SOLD!
Hollywood Vic SOLD!
"Josh" SOLD!
Most Always a Lady SOLD!
My Sparky Boy SOLD!
Noshrinking Violet Deceased
Political Pull Now at Bits & Bytes Farm
"Pretty" SOLD!
"Skinny" SOLD!
Suzie Maewon
SOLD!
Thistle NEEDS A NEW HOME
Violet Maewon Deceased
Viva Vicky SOLD!
Vicky Vicky Vicky
SOLD!

 

 

Call for more information.

Strict Mister

Call for more information.

Strict Mister

 

prospect horses available through Bits & Bytes Farm

Our horses > horses for sale > prospects > photos - Strict Mister

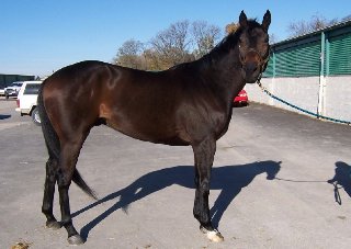
Strict Mister - SOLD!

This is a gorgeous grandson of Storm Cat. He is a 3 yr old dark bay gelding - 16'1 and still growing. He has only run once once this summer and bucked his shins. Has been trained properly - lunging and driving before ever being ridden. " Mister" is easy to handle on the ground. He has no real interest in being a race horse. He has been lightly trail ridden over the summer.

He was gelded in late April.
Good with the blacksmith.
All shots and coggins up to date.
Teeth just done last week.
No vices in the stall or pasture.
Loves to eat and is a very easy keeper.

Strict Mister sometimes needs his butt kicked to remind him he is not the boss. He still has a little baby in him and will need some more time to mature physically and mentally. He spent the summer turned out with about seven older horses and had no problems. He can pack on the pounds pretty quick especially when out on alot of grass. Pedigree.

 

Strict Mister - Available now.

 

Call for more information.

 

Call for more information.

 

Call for more information.

 

Call for more information.

 

Call for more information.

 

Call for more information.

 

 


Would you like a Web site for your business? That's how we make our living!
Click here for more information.
© 2007 Copyright Bits & Bytes Farm /Egeland Wood & Zuber, Inc.