Prospect Horse for Sale

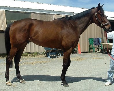
Cold Chicken

Foaled: 2002
Sex: Gelding
Size: 17 hh
Breed: Thoroughbred
Color: Bay

Cold Chicken aka "CC" - SOLD! Congratulations to Jean Detert!

"CC" is a tall and elegant 17 hand horse.
He would be goregeous in the dressage arena.

Notes:
"CC" is five years old and 17+ hands started in dressage! "CC" is an
exceptionally well built, five year-old, 17+hh bay gelding. He has already
been started basic dressage. His owner is a dressage rider from Canada
who trains race horses at the track. "CC" is extremely easy to handle. He
should be able to start any new career right away. His owner says he is a
great mover, easy to ride and sound.

"CC's" pedigree includes: his sire Honour and Glory, Relaunch,
Raise a Native
, Native Dancer, In Reality.

Suitable for:
Dressage, Eventing, Hunter/ Jumper

SOLD! Congratulations to Jean Detert!

 

Return to Prospect Horses For Sale

Before calling, please read . . .

How to Buy a Prospect Horse from Bits & Bytes Farm!

 

Don't miss the training notes from Elizabeth

Our Horses and Buying Our Horses - Learn about the horses
we offer for sale. We are NOT a horse "Rescue".

FAQs - Frequently Asked Questions about pricing and buying

We DO NOT give prices by e-mail. Serious buyers are encouraged to call.

Still not sure about buying a horse directly from the track?

Read the Success Stories of horses we have sold from the farm and directly from the track. The horses with an asterisk in front of their names were all bought directly from the track - sight unseen!

Don't forget to check our Bargain Barn Horses for Sale.