Prospect Horse for Sale

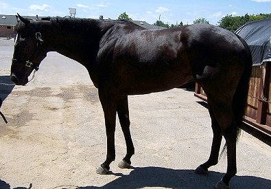
Judging Dreams

Foaled: 2001
Sex: Gelding
Size: 16.3 hh
Breed: Thoroughbred
Color: Black

Judging Dreams - SOLD!
Congratulations to Alison Brigham of Auburn, Maine


Black Thoroughbred Horse For Sale Thoroughbred Horse For Sale


Black Thoroughbred Horse For Sale Thoroughbred Horse For Sale


Black Thoroughbred Horse For Sale Thoroughbred Horse For Sale

Black Thoroughbred Horse For Sale Thoroughbred Horse For Sale

Black Thoroughbred Horse For Sale Thoroughbred Horse For Sale

Notes: SOLD! Congratulations to Alison Brigham of Auburn, Maine

Judging Dreams is a 2001, 16'3 black gelding. He is registered black on his papers. He is very quiet and easy to handle. He is a fantasticly free mover. He would make a beautiful hunter, dressage or 3-day event horse. He has a great shoulder and a wonderful hip. No vices. Sound and clean legged. His gallop rider loves him and he says that Judging Dreams goes long and low.

Suitable for:
Eventing, Hunter/ Jumper, Dressage, Fox Hunting

Return to Prospect Horses For Sale

Before calling, please read . . .

How to Buy a Prospect Horse from Bits & Bytes Farm!

 

Don't miss the training notes from Elizabeth

Our Horses and Buying Our Horses - Learn about the horses
we offer for sale. We are NOT a horse "Rescue".

FAQs - Frequently Asked Questions about pricing and buying

We DO NOT give prices by e-mail. Serious buyers are encouraged to call.

Still not sure about buying a horse directly from the track?

Read the Success Stories of horses we have sold from the farm and directly from the track. The horses with an asterisk in front of their names were all bought directly from the track - sight unseen!

Don't forget to check our Bargain Barn Horses for Sale.