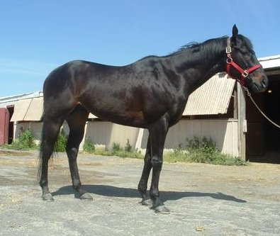
Matt's Memo aka "Max" - SOLD!

February 10, 2009 - Matt's Memo has a new mom!
Hi Elizabeth,
Max has found a new Mom! She's a teenaged girl who fell in love with
Max's picture on his ad (funny, I can really sympathize with her
there), and once she saw Max, apparently the feelings were mutual.
She gave him a huge hug, and he responded with some gentle nuzzling.
While both Darrith and I were a little concerned about her lack of
formal training (she's been riding at home and on trails for a couple
of years), the connection between the two of them was apparently
such that once she got on him, he let out a big sigh and walked around
the ring with her like a 20 year old school horse. Both Darrith and
the girls mother noted that Max really seemed to want to take care
of her. They've said they'll contact you and keep his success stories
updated.
Thank you for your help with getting me in touch with Darrith.
I am indebted to Darrith for taking him on, exercising him, and showing
him to people. He was basically treading water when I had to leave,
but she made it possible for me to find a home for him.
So, now I'm down to a two horse family. I definitely want to buy
another horse through the site when I get back though!! Max was
a unique, rescue situation that I enjoyed greatly, but it was unfortunate
that he came with issues that made him unsuitable for me to jump
him. Thanks to him though, I was able to get back into riding enough
to feel good about my riding again (rather than wishing my muscles
would do what I asked!), and I honestly had some of the best "feels" ever
on him when we were so in tune that it felt like all I had to do
was think what I wanted to do, and he'd do it.
Thank you again for everything!
Take care,
Sandy
September 5, 2008
Hi Elizabeth,
Max finally made it to GA last weekend, thanks so much for putting
me in touch with Darrith! I'm boarding him there, and she's working
to find a good home for him. I'm so glad that he's in such a good
situation, getting some one-on-one attention and active marketing.
I feel she'll be able to find a good match for him.
I've attached photos she took when he arrived at her place, he did
some showing off!! Please add these to his "Success Stories" page,
and note his moving to Cumming, GA. For now, I'm still the contact
person (via e-mail) for anyone interested in him, I'm doing the "pre-screening" for
her to weed out the obviously inappropriate riders.
Thanks again for all of your help, I'm already breathing easier knowing
that he's in good hands.
Sandy

July 28, 2008
Hi Elizabeth,
Could you change my contact info on your site to my e-mail address
? That phone number will not be
working soon (or may already be turned off). We had been led to believe that
we could get calls forwarded to us here in Italy (for a fee), but
that is not the case. I do have a college student riding him a few
days a week, so he's getting some extra TLC on top of the good care that the
barn manager gives.
We just moved into our apartment here in Milan, it is nice to have
a real home base now, not just a hotel. I was touched though, on
the first day my 6 year old daughter Kylie said "It's boring
not having horses to ride". Takes after her mother I guess!
There is a racetrack here in Milan, and I hope to find somewhere
where we could at least trail ride on a weekend.
Take care, and thanks for your help!
Sandy
Anyone interested in seeing Matt's Memo or
learning more about him can e-mail Sandra Larson at:
June 12, 2008
Hi Elizabeth,
Well, it's official, my family is going to
Italy for a year, so this is
fast-forwarding plans for Max (Matt's Memo). He was supposed to be
a
"resell" horse in the first place, but I've been enjoying
him too much and
work pressures slowed my progress in training him. He is now officially
for sale, but given our short time frame, we'd consider a lease as
well.
Potential buyers and lessors will be checked out thoroughly!! Please
update Max's Success Stories page and add him to the list of horses
for
sale. I've attached some photos, and hope to have some more under-saddle
photos to send along soon. The one under saddle photo included is
when he
came along to school at a local dressage show last month. He handled
everything very well, he was a little frisky, but that was probably
more
due to not being ridden in 2 weeks prior!

I've also attached our flyer
advertising all three of our horses (the
other two are for lease only), I realize you don't post other horses
on
the Bits and Bytes site, but if you know of anyone who might be interested
in a lease arrangement, please pass the word along. I'd prefer to
have
them stay close to home here (I have friends who can keep tabs on
them
while I'm gone), but I certainly trust you and your judgement if
you know
of anyone in your area.
Glad to see how quickly horses are flying off the site!! I'll continue
to
watch the site from afar, and will likely be a customer again when
we get
back. I'll keep you posted regarding Max
Take care,
Sandy Sandra F. Larson, Ph.D.

September 20, 2007
Hi Elizabeth,
I must say I found it funny reading about Victoria G staying at
Bits &
Bytes Farm!! Welcome to the world of having mares on your property...!
We
were actually "mare-less" for the summer after we gave
away our old pony,
and we had every intention of staying that way. Well, after lots
of
on-line shopping for a new pony, plus several treks for in-person
interviews, we actually ended up buying another mare. I tell people
that
she must be special, because we bought her despite having 3 "strikes" (on
my husband's scale) against her: 1. She's a mare; 2. She's a pinto;
3.
She has 4 white feet. We are happy with her, but it has affected
our farm
management. Instead of all 5 horses out together in a big pasture,
she's
with Max and our other TB Stormy in one field, and the two boarder
boys
are in another. It split up some long-term equine friendships, but
no
one's whinnying back and forth anymore. At one point I suggested
to my
husband that we just get another mare to keep Roxanne company, and
you
should have seen him roll his eyes at THAT suggestion!
Max is continuing to improve, but with the academic year back in
full
swing I'm having trouble finding any weekday time to ride him, so
our
progress has slowed. He's had a few more bouts of herd-boundedness
under
saddle, but it only seems to happen on the home property. He's so
good
when I take him down the road to other trails that I can basically
lope
him along the shoulder of the road on the way home, and he doesn't
turn a
hair. At home, he gets quick and fussy heading toward the other horses,
to varying degrees. I went back to some basic groundwork, and
re-discovered just how useful longing cavessons are. At the first
sign of
him quickening toward the other horses, I can give him a good strong
pop
on the line attached to his nose, and it gets his attention in a
hurry! I
also have added a single long-line attached to the bit on the outside
(which I hadn't done before), and was pleased that having the line
across
his back or behind his legs hasn't really bothered him. He's also
started
doing some good stretching down to it, which is starting to carry
over to
under saddle. Once we don't need the line on his nose anymore, I'll
add
the inside rein and do some more bending work.
Well, time to get back to work, I hope Victoria G shows that mares
aren't
always that bad!!
Take care, Sandy

June 12, 2007
Hi Elizabeth,
Thanks for your help over the phone. I guess I can't blame Max for
deciding that "retirement" and hanging out in the pasture
is the cat's
meow! I've attached a couple of photos of Max, one of my daughter
Kylie
loving on him (I think she's jealous that her brother is on the
internet...), and a picture from earlier this spring (when we had
green
grass....), with him finally carrying the kind of weight I'm happy
with.
He's still got a little scruffy winter coat on him there, but otherwise
I
think he looks pretty darned good.
I also want to let you know that a possible buyer may be looking
at him in
a couple of days. We had just mentioned to a friend that we were
thinking
about selling, and lo and behold a week or so later she has hooked
us up
with a possible buyer. To our surprise, when we mentioned that we
might
sell Max, our son burst into tears and said that he didn't want us
to sell
him.... I was surprised because he's only been on him a couple of
times
(and it has been several months), and he hasn't ridden any of our
horses
much at all lately. When we explained that Max needs more daily attention
than we've been able to give him during the school year, Sean said
he'd
ride him and work with him. We're going to play this whole thing
by ear;
the possible buyer is the mother of a Pony Clubber, so this might
be a
good situation for Max, but we may also give Sean a shot at doing
more
with the horses and keep Max. We're planning on getting a pony anyways
(we just gave away our old one that was too lame for regular work),
so
maybe the kids share the pony, Sean gets more mileage, and my husband
and
I finish off Max's training.
Don't worry, if we do sell Max, it will only be to the right home,
and we
will pass on all of your contact info. We've probably asked the
prospective buyer more questions about her needs and abilities than
she
has asked us about Max! And, we may not even sell him at all as I
mentioned above.
Take care, and thanks again for your input.
Sandy
May 27, 2008
Hi Elizabeth,
It's been ages since I've updated Max's (Matt's Memo) progress,
and while
he still has spent more time as a pasture ornament than working,
he is
progressing well. I've taken him off the farm a couple of times this
spring, first on a nice ride in Dupont Forest in NC. He LOVED it,
we
picked up a friend and her horse on the way, and spent a couple of
nice
hours in the woods.
We crossed a concrete bridge and stood in a water
crossing for a while, shared the trails with other horses and mountain
bikers without a problem at all. I've been anxiously waiting for
this
semester to end so I can go off-site more often!!
The other thing
we did
was take him along for experience to a dressage schooling show.
He was a
little anxious at the show site, but handled separation from Stormy
well
(although Stormy kept whinnying for Max!). After my test on Stormy,
I
hopped on Max to ride him around the show grounds, and he was very
good,
especially considering I hadn't ridden him in almost 2 weeks...
We walked
over more bridges, rode wtc in the warmup area with other horses,
then
headed over to the covered arena where the tests were happening.
We got
to go in and school in the ring, and while he looked at the judges
carefully the first time past them, nothing else phased him. I'd
never
ridden him in a covered arena before, he didn't turn a hair about
it. I
have a couple of pictures (at home of course) that we took there,
I'll
have to send them to you.
Sandy
February 6, 2007

Matt's Memo was an "At Risk" colt
when Sandra Larson saved him! Now her son, Sean, is riding him!
Hi Elizabeth,
Well, I think Matt's Memo has finally completed the transition to
"country" horse (as opposed to city).
During the ice storm last week, I
brought the horses in to the barn, and for the first time he didn't drop
down right away and take advantage of the clean, fluffy bedding for a
series of rolls! He is so funny about rolling; 9 times out of 10, if I
take him on the lawn after riding, he'll drop down and roll (while on the
leadrope). A couple of weeks ago, when I let him loose after a ride, he
started to canter off to join his friends, then he realized he was going
through the remnants of a round bale. I have never seen a horse drop to
his knees from a canter so fast as he took advantage of the soft, fluffy
hay to roll in! He still only rolls one side at a time, probably from
years of rolling carefully in a stall to avoid becoming cast.
My work schedule is somewhat settling down, so now Max's work schedule is
going to increase! My question for you is, would it be possible to bring
him down for a "visit" for a day or two? I'd like some feedback on how
his training is going, and give you a chance to meet him "in person" so
you can learn more about him for when I have to get around to selling him.
Besides which, I'd love to meet you in person!! Let me know if this is a
possibility, and if it is, we can deal with dates and details later.
It's great to see the horses getting sold off the site so well! I'm a
total convert to OTTB's (at least the ones you're connected with) and talk
up your site at any opportunity!
Take care, Sandy
Elizabeth's Note: We LOVE for the buyers of our horses to come for a visit. We often run clinics and buyers of our horses are the first to be notifiied about them. It gives us great pleasure to host buyers of our horses. We enjoy their company and welcome the chance to see how their horse's training has progressed. It also gives me a chance to get some current photos of these beautiful OTTBS!
October 31, 2006
Hi Elizabeth,
OK, I can't help but brag about my brave boy! Yesterday I rode him after
about 10 days off, and at the end of an ENERGETIC 20 minute ride, I put a
mental challenge to him.
A few days ago, we put up a temporary 10'x20'
carport (white tarp roof on a pole frame) to store round bales under. The
carport is right by the pasture, also right next to the area where he eats
his grain, and gets tied for grooming, so he'd been around it, but hadn't
been specifically brought up to it to check it out. I rode him up to one
end, and asked him to go in. He started to walk in, then his head came up
and he said "wait a minute, I'm not so sure about this" and he moved away
from it. I turned him back toward it, halted him, then asked for a step
forward. Any time he stepped toward it at all (even if it was in an
attempt to position for a turn away) I patted him and made a big deal over
him. After 7-8 progressive steps (with a few backing steps mixed in that
I ignored), he got his head under it, then the next time I asked him to
move forward, he just went "oh well, I guess I'll get it over with" and
walked (on tiptoe) right through it! I made a huge fuss over him and
hopped off after we got out the other side. I was so proud that he was
brave enough to do it, and that he trusted me enough to try.
Well, enough proud mama talk, back to my "real world" work.
Take care! Sandy
August 31, 2006
Hi Elizabeth,
My son had been asking for a turn to ride Matt's Memo, so he hopped on for a pony
ride after I was done riding this past weekend - mind you, I'm not ready
to call Max child-safe yet! I'll try to get my husband to take photos
with me sometime this weekend.
Max had a bit of a breakthrough last
weekend, he's starting to figure out how to soften and bend, so we can
finally work toward the long and low frame I've been wanting to do to get
his topline stronger! Max is also now out with all four of the horses on the
property, and has adjusted easily. It helps that we did this in a pasture
that has been ungrazed all summer!
Take care, Sandy
Elizabeth's Note: We really want to thank Sandy Larson for going above and beyond the call of duty in regards to Matt's Memo. We nearly lost this horse to auction by a few hours when the trucker did not show up. Matt's Memo was a COLT and he has since had his load lightened - but not that long ago - just two months! Most of these horses just need patience and time to heal from the soreness of racing. Matt's Memo is a good example of how quickly they come around when given love, care and good nutrition. Thank you Sandy for buying this boy sight unseen when he was "At Risk" and for gelding and training him!
August 16, 2006
Hi Elizabeth,
I just wanted to let you know that Max (Matt's Memo) is doing very well!
Between the surgery recovery and the travails with his front shoes, his
training program has been pretty erratic, but he's finally able to work
more regularly (at least when I have time...). We also have our "equipment" worked out, I have a saddle that fits him well, and I did go
ahead and get a set of racing rings. I like them better than the regular
running martingale I tried on him, the v-shape seems to make it easier to
use an opening rein (which he still needs on occasion).
He has really improved under saddle, I can finally trot a straight line
on a loose rein, and he's starting to turn from my seat and leg aids. His
trot is opening up too, and I could canter for HOURS it feels so nice!
He still needs to learn to stretch his head and neck down (other than at
the walk) to fully use his back, but that will be easier to work towards
as he gets more between my aids.
He's had his first couple of forays off
the property in the company of the steadiest trail horse on the farm. Max
ended up leading most of the time due to his wonderful walk, and he was
very good. It's funny actually, he's only 15.1 and his trail buddy is a
16.2 TB/App cross and Max EASILY out-walks him. We have to go down the
road to get to trails, and he was not fazed at all by cars. He even got a
look at a bicyclist on his first ride, and all he did was pick up his head
and watch it intently. He doesn't quiet understand the concept behind
trail riding, after about 20 minutes he started slowing down and turning
his head back toward the barn as if to say "just how far are we getting
away from home anyways??". Despite that, he didn't really get much
quicker when we did turn toward home.
I'll try and get some pictures of us this weekend to send to you. His
black coat has bleached a lot (despite spending most of the day in the
run-in shed), so he might be hard to recognize! His body shape has
changed too, although I'd still like a little more weight on him. I think
the heat has been hard on him, hopefully between the high-fat supplement I
want to get for him and a break in the weather, he should gain a bit more.
Thanks for doing what you do for these horses, Max has really changed my opinion of OTTB's!
Take care, Sandy
July 24, 2006
Hi Elizabeth,
Thanks for helping me out with my questions on the phone this AM.
My farrier came out and put shoes on with flat pads, and Max is already
more comfortable. I think that with his flat feet and taking off a
fair bit of splayed out toe, he just had too much sole pressure (as
well as the low heels). His feet are interesting; the vet commented
when he came out to give him his shots that he must have had a change
in nutrition sometime earlier this spring. He has a distinct horizontal
ring around his hoof that is now about 2/3 of the way down his wall.
In his front feet above the line, his hoof is growing pretty straight
down, and below the line it spreads out drastically. I think that
after a couple of more shoeings we'll be into the straight part and
his feet will be in really good shape. The walls are very strong,
he hasn't had any breakage when he's pulled the shoe.
Max is pretty comical sometimes, when I started leading him out of the
pasture up to the house (where we do all the grooming, tacking up,
shoeing, etc.), he stopped dead after going through one gate as if to say
"What do you think you're going to do with me today, I'm LAME!".
Thanks again for your advice! I may call on Thursday AM to talk to your
farrier if Max hasn't improved by then, but judging by how he walked back
to the field after the shoeing today, he should be in good shape.
Sandy
Note from Elizabeth: We are always available to
answer questions and give training and feeding tips to the buyers
of our horses. It usually takes a shoeing or two to clean up the feet
of off-the-track Thoroughbreds. Most Thoroughbreds do not have bad
feet but have had bad farrier work done to them. More Notes below.

July 11, 2006
Hi Elizabeth,
I just sent a few photos through your web page of Max's first turnout
with
another horse! He was so happy to get to actually be in contact with
my
old horse Stormy, who has been keeping him company from across the
barn
aisle since his arrival. I should have titled a couple of the photos
"Stormy's shadow", because Max just was glued to him for
the first hour or
so!

As you can see from the photos, Max has realized that mud is good
for
rolling in too, not just lawns. It was fun watching the two of them,
Max
was like a little kid tossing his head wanting to play, and they did
for a
little while, then Stormy's attitude seemed to be "when is this
kid going
to leave me alone".

I think Max is well on his way to being a "regular" horse
now. He has now
been gelded, wormed, teeth floated, shots, and has graduated to turnout
in
one of our 2 acre fields. He did great while I was away, and now that
I'm
back we're looking to get some weight on him. Pasture will help with
that! He also feels so much better under saddle now. I rode him on
the
weekend for the first time since the post-gelding recovery and he
had much
more spring in his step!! We did walk-trot-canter in both directions
in
the ring, and he picked up both leads correctly. The canter felt SOO
smooth! His trot has a long way to go though, it's very upheaded and
short. Now that his teeth are done, I can start using bending to get
a
long and low frame, as well as hill work to get a topline developing!
I'm still amazed at his low-key attitude. When I moved him to the
new
field, a couple of the neighbor's Saddlebreds got excited and running;
Max's response was to startle forward about 6 feet, stop, then go
back to
grazing. He's definitely more inquisitive now that he's settled in
and
physically recovered from everything, but he's still not what I expected
from an OTTB.
Elizabeth's Note: I asked Sandra what she expected from an OTTB. Here is her answer:
You asked about my expectations of
an OTTB; in general, I would expect a
hard-mouthed puller who would always want to GO.
My husband Michael
had an OTTB back in high school that had been racing up until age 10 or so
(flat then steeplechase). The horse went well enough at home that they entered
a novice level horse trial, and at that event Rondin just took off
with
him. When the starter said "go" at the cross-country phase,
Rondin was
off to the races. Michael was an excellent rider, but he actually
ended
up pulling the bit through the horse's mouth before he was finally
able to
get him to turn and stop somewhere in the woods. After some serious
training, he got so the horse would go at any speed (including loose-rein
walk) in the middle of a cross-country course.
My direct experience
with racehorses was in college when I worked at a farm that had a
few
home-breds, plus a couple of horses bought on the track to continue
racing. The homebreds were fun to ride, they were trained by other
eventing riders like me, so were pretty easy to put in whatever gear
you
wanted. The mares from the track were not comfortable in a regular
farm
environment, they were fussy to handle in their stalls, spooked easily
(ok, so sheep at a distance can be scary), and to work them I was
told to
stand in the stirrups, lock my knees, and lean back against them to
keep
them at a slow gallop. I remember one two mile slow gallop that I was
continually being pulled back down onto the horse's neck! Another
of the
homebeds was so crazy that when he was galloped on the beach one
day, he
took my (very strong) instructor off for a swim, despite the gag bit
he
had in his mouth.
So, I've had a little direct and indirect
experience with racing/OTTB's
that colored my perception of what Max could be like. Add to that
the
craziness of buying a horse sight unseen (albeit with excellent
references!) and I did have some trepidation! (I think my former Pony
Club
instructors and examiners would think I should get my head examined
for
the sight-unseen part!) Besides, how may horse advertisements have
you
seen that spout "never raced" as a positive feature of a
TB?
I am so happy that my worst fears were
groundless, and that I took the "leap of faith" to believe in a horse from your site! I
am happy to
recommend it to other horse people I know!
Take care, and keep up the good work! I'll tell Stormy you think
he's very pretty!
Sandy
Elizabeth's Training Notes: Most OTTBs come off-the-track with very soft mouths. The jockey never jerks on the reins but rather lets the horse lean and balance off his hands. When they cross the finish line, the jockey sits up (like our half halts) and lets go. The horse slows and stops galloping. Never give an OTTB two hands to lean into - rather, alternate the pressure by opening and closing your hands and doing a half halt. Pull and release and pull harder and RELEASE if the horse does not pay attention. We have found most "homebreds" and unraced horses are more apt to spook as they have not been exposed to all the "scary" things that occur at the race track. Let go of your myths about Thoroughbreds and give us a call!
June 19, 2006
Hi Elizabeth,
Max is recuperating well from his surgery. I think he recognized
me at the clinic, I got a big whinny (and I don't think it was purely
hunger), and he loaded perfectly and traveled like a star. When we
brought him to the clinic, he did some of the rocking forward and
backward that he had done on the shippers rig last weekend, but no
moving on the trip home. I think he was relieved to have the same
person and same trailer arrive. He did the same routine as when he
arrived when we got home, after a few nibbles of the front lawn he
dropped down and rolled (twice), then happily headed back to his barn
and paddock.
They say necessity is the mother of invention, I think I agree with
that... Max needs to be trotted 4 times a day for 15 minutes each time
(for 7 days), so he learned to longe very quickly! He does great in both
directions, and I can move the circle up and down the arena as he's
trotting, so he ends up doing some ovals instead of being stuck on a
circle the whole time. Not bad, considering we have a standard sized
dressage arena that doesn't have tall fence along the edge of the arena.
I also hopped on him twice yesterday, and did the second ride by ourselves
out in one of our large pastures. I even mounted him by myself with a
mounting block for that ride, and he stood well. His temperament is
incredible, I can't believe I'm doing this on a recently-gelded, 1 week
off the track 4 year old TB!! He was a little wiggly in his steering and
by the end of the session was strongly reminding me that the barn and
other horses were THAT WAY, but it was easily quelled by a growl from me
and a wave of the crop to remind him he still has to pay attention. He is
getting pretty tired of this work routine though, I had to drag him out of
his paddock for his last session last night... I think he'll enjoy the
break at the end of this forced march.
I'll resend the pictures I sent to you last week, plus another one. I'll
try going through your page this time. One of them is him in his paddock,
and the other is our first ride, which happened on his first full day on
our farm. With him in racing trim. He's definitely too good a horse to
leave out in a pasture, and will thrive with love and attention!
Take care, and I'll keep you posted!
Sandy

Former
horse "At Risk" Matt's Memo on his first ride away from the
track.
June 14, 2006
Hi Elizabeth,
Here is a promised picture! I'll give a quick overall summary of
the saga of Matt's Memo (we call him Max, that's how my 4 year old
daughter pronounces it anyways!). He arrived and unloaded easily Saturday
night in our driveway. After munching a few bites of the front lawn, he
decided it was a nice soft place to roll, so he carefully dropped down
(twice) and rolled!
We hosed off the dried sweat, and my kids couldn't
wait to pat him and give him carrots. He quietly walked down to the barn,
and settled in immediately, despite my agitated older TB that I had put in
to keep him company (he wanted to be back out with his buddies!).
Late
Sunday morning (after finishing fence repair on his paddock!), my husband
led him around the paddock, then as he dropped his head to graze, Michael
just let him go and walked away from him. He soon realized he was free,
but was totally mellow. I still have yet to see him do more than canter
one section of fence line once. I went ahead and hopped on him on Sunday,
just to walk for a few minutes in the arena while one of the boarders was
cooling out her horse, and Max was very good. Pretty "rubbernecky", but
all the gears seemed to work ok. He was turned out for a few hours on
Monday, then Tuesday AM I put him out, expecting to bring him in at noon,
but we had a cool day and he was comfortable, so I left him out all day.
One of our boarders was there riding during the day and said that our
neighbors put out a mare and foal in the pasture next to him, and while
the foal was running around making a ruckus, all Max did was call back to
him occasionally. I'm really amazed at his disposition.
To sum up our experience so far, the good aspects: He is so mellow and
well-behaved. He's already doing less of the colty nipping, and he has
adjusted amazingly well from a busy track life to a VERY slow paced life.
My husband and I work full time, as do our boarders, so our property is
very quiet. He stood like a rock for the farrier today (much better
behaved than my old guy!). The not-so-good aspect: as I told you already, he's a cryptorchid (one
testicle is still in his abdominal cavity). This will necessitate surgery
at an equine clinic, significantly more expensive than regular gelding
procedures. It will also mean a week where we're supposed to jog him 5
times a day for 15 minutes, to prevent swelling! I hope this doesn't make
him associate us and exercise with pain. We're going ahead with
everything (in for a penny, in for a pound), but this is the one "wart" on
our experiences thus far. I went into this knowing that there were risks
in a sight-unseen purchase, so no sour grapes. He is definitely too good
a horse to let go!
Thanks for trying to check on the cryptorchid history, I figured it was a
long shot, but thought it was worth a try anyways. He's at the equine
clinic now, with surgery scheduled for tomorrow AM. I think he was a
little perturbed to go back onto a trailer and another new place!
Take care,
Sandy
Matt's Memo was "At Risk" of going
to slaughter in June 2006
Matt's Memo was another horse "At Risk". We had put him up on our Web site as a Prospect Horse for Sale when his trainer sold him to another trainer in West Virginia. The horse was shipped out just as we had found him a new home. His exercise rider loved Matt's Memo very much and stayed in touch with his new trainer/owner. She knew Matt's Memo was not interested in racing and when the new trainer realized it, he wanted Matt's Memo gone - NOW! That's when we got the call and put out the word on our Web site. We had several people interested in helping but nothing was working out. We arranged for shipping to a woman in Florida - then she found out the stall she was hoping for, was not available so she could not take him. The shipper was called and the destination
changed to Bits & Bytes Farm - we could not let a sound, sweet horse go to auction! Within a hour, Sandy Larson called in and said that she could give Matt's Memo a good home. Another call was made to the shipping company and the destination was changed to South Carolina! The shipping company could not get in touch with their driver and by the time he did he was past West Virginia and he would not be picking up the horse. It would have been nice if they let us know earlier!@#! Another mad scramble was made to find an overnight stall for the horse. His trainer was claiming a horse that evening and had to have the stall. He was less than accommodating but a stall was finally found and a new shipping company hired for pickup in the morning. Thanks to Tapp Transport for going out of their way to help save Matt's Memo and get him to South
Carolina where he can start his new career as a soon to be gelding! Follow his new life on Matt's Memo's Success Stories.
Matt's Memo's Prospect Horse for Sale photos


|