Read the Success Stories for these former Bits & Bytes Farm
horses.
* Former Prospect Horses bought directly from the track or trainer.
* Prospect Horses are horses that were bought from our Web site photos and a vet check. Read "How to Buy a Prospect Horse" for more information.
All photos on this Web site are copyright protected and may not be used without written permission of the owners.

Mr. Mully turned four as of March 30, 2007!

Mr. Mully at home in Salt Lake City, Utah.

Mr. Mully meets Kristin's grandpa in Texas on his way to Salt Lake City.

Mr. Mully and grandpa.

Bits & Byte Farm help to arrange the equine transportation services to get Mr. Mully to Salt Lake City.

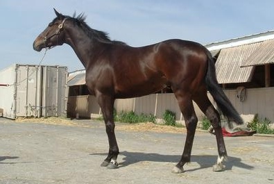
Mr. Mully at the track. - April 2006
See Mr. Mully's Prospect Horse for Sale page. Kristin Palmer was quick to call about this beautiful boy when he appeared on our Web site.
Bits & Bytes Farm Success Stories |
||||||
Our horses > success stories > horse nameMr. Mully - He was a Prospect Horse for Sale in 2006
January 1, 2008Dear Elizabeth, He is a lady's man now, he lives with three mares and he loves to boss them around. It has been alot easier to take care of him now that he is just right in the back of our house. We have plenty of time to do ground work with him, and he loves to go on walks through the neighborhoods. He has recovered well, better and faster than last time, but we are going to wait until spring to start work back up again. Every once and a while Kristin or I will get on him and walk him around, he is much happier when he has a job to do! The picture is of Kristin and our little brother Cory taking Mully for a ride. Good thing Mully is a woolly mammoth because it is COLD over here! I hope you guys had a Merry Christmas and a Happy
New Year! Elizabeth's Note: We are very proud of Kimi and her sister Kristin.
They have done a fantastic job of taking a Thoroughbred off-the-track
and turning him into a safe sport horse that the whole family can
enjoy! This ex-race horse rides in both English and Western tack.
|
Hope things are going great at your farm. Sincerely,
Roll over the image |
![]() |
Dear Elizabeth,
Kimi and I wanted to wish you and everyone at the farm a very Merry
Christmas and a Happy New Year. Mully is doing great and getting ready for a
clinic this weekend and we will finally send pictures. Again thank you for
all the amazing work you do for these animals!!
Sincerely,
Kristin and Kimi AND Mr Mully
Hi Elizabeth,
Mr Mully is doing great!! We moved him to my training barn and he is very happy there. He is jumping now small cross rails.
At first we thought he wouldn't have a problem with jumping when I lunged him over some fences his very first time. But, when you are on him, he tries to always run out on the left side. He is becoming more brave by the day. He loves to do ground work and poles...work ethic is amazing!!! He tries sooo hard.
I was reading Brett's story about trailer loading. Mully had some huge isssues about loading and the technique WORKS! Mr. Mully also has a stubborn streak where he can say, "No thank you, I'm not doing that!" That attitude is slowly going away. He is becoming more willing to the jumping stuff. Last week he actually jumped a small wall without looking at it.
He has been fun and he loves to state his opinion, which usaully makes me laugh. What I love most is that at my barn he is with high dollar jumping warmbloods and he is the second smallest horse there. He has little man syndrome which he thinks he bigger then everyone else. He likes to show who is boss. People tell me to sell him and buy a big jumper. I tell them to go take a hike!! I love him!!
Pictures coming soon of him
jumping...he is cute little jumper.
Thanks again and more updates soon!!
Kristin Palmer
Hello Elizabeth, I just wanted to give you a little update on Mully. He was adjusted twice and after three weeks of very light work he was feeling like a million bucks! Literally!!He is a snuffleuphogus and he loves to lick your pants trying to get a treat! And he is winning the hearts of lots of people. |
![]() |
When a friend from the barn came with the chiropractor to see him she was very nervous that Kristin bought a horse from a Web site, unseen, but she was very impressed, and thinks that he will be a great horse for the both of us. My friend and I were doing some Parelli games with him and I had her guess his age and she said "umm 13?" We love him and he just falls asleep in our laps! He is also gaining weight and eats his special meal very politely. We just couldn't be happier with him.
Thanks and more updates like always!
Kimi and Kristin
Hello again Elizabeth,
I just wanted to tell you about Mully's connection with a little foal at our barn.

Mr. Mully is now Mr. Mom to an orphaned foal named Ivory.
The filly, Ivory, is a black Quarter horse who is going to be trained to race at the right age. Her mom, who is also a beautiful black Quarter horse, was once a race horse as well when she broke her leg. She was able to be a brood mare, but the time has come to put her to sleep because her leg just keeps on getting worse.
The owners of the horse wanted the foal to become friends with somebody at the barn so that she wouldn't be so alone once they put her mom down. They picked Mully but they were very nervous. So we let them in a turnout next to each other ... and it was a success! They absolutely love each other!! The filly loves to be groomed by Mully! And she waits for him to come out of his stall.
It is so cute, I am glad it worked out. We get to see the filly grow up and become a race horse. I sent you a picture of Ivory, but I will have to send you a better one some other time. Just thought I would tell you that story.
Thank you, and more soon,
Kimi
May 31, 2006Hello Elizabeth, Today we lunged him with a surcingle. We left it loose, but tighter on the inside.To the left he is great, he even puts his head down a little and his trot is getting longer with more suspension as well. |
![]() |
It is still a struggle to canter but he will get it. To the right he is doing soooo much better. He used to say "Forget it, I am done!" and take off with the lunge line! But today he stayed calm and walked and trotted successfully, even bringing out a nice long, relaxed trot.We didn't canter him on the right, we wanted to leave on a good note. We like taking things slow! Once he is good like that he is done working.
After today I am more excited than ever to see him progress to the horse I know he will become!
Thank you so much for helping us find such a cutie!
Kimi and Kristin

Kimi Palmer and Mr. Mully on Memorial Day - not quite one month off-the-track.
Hi Elizabeth!
It is Kimi and I had my first ride on Mully on MEMORIAL DAY! Kristin has ridden him before me but this was my first time. Well, as expected, we have a lot of work to do! But he was soooo good. He wasn't spooky at all, and compared to all of the slow, stubborn horses I am used to, he was very forward which I love! I just practiced transitions with him and he goes with my posting and body positions very well, I barely have to use the reins! And I even got him to bend going in a circle, it was soo much fun! I can't wait to ride him again!
Thanks,
Kimi
Hi Elizabeth,
It is Kimi. Here are some new pics of Mully. He is doing great of course!
We love him to pieces. I don't have much time but I thought I would send you these of him in his home.

Mr. Mully is ready for his close up!
I found it hard to take some pictures of him in the pasture because he follows me everywhere!! Well I will send you updates soon.

Mr. Mully lives in Salt Lake City, UT with Kristin and Kimi Palmer.
Thank you and have a nice weekend,
Kimi
It's Kristin,
I just wanted to let you know how Mully's doing. Mully finally
has shoes and is coming along great. I've been lunging him and doing some riding. But,, I tell you what he gets very frustrated going is to the right...and
trotting is his worse gait right now. The first time I lunged him to the
right he was relaxed and had a good pace. So, I asked him to pick up his
trot and he goes about a hundred miles and hour. Then, I just ask him to come
back to a walk and that takes a minute. He just gets so unsure of himself
going to the right. One time he broke into a canter and decided he didn't want be on
the circle and he took off with the lunge line and all. but, the good thing
was he walked right back to me.
I couldn't ask for a better gentlemen. He is like a quarter horse, very calm and quiet. And he loves dogs!! He can't get enough of them. He isn't a spooky horse and he has a lot of heart!! We love him to death and tend to spoil him.
Oh, Mully says he loves your recipe and he says thank you!!
Kristin and Mr. Mully

Elizabeth,
Thank you so much for your email. It helped a lot. I thought it would take a while for him to gain the weight, but he looks better all ready!! (maybe that is just me. :) So, I have been trying to figure out how to get some pictures to you. The ones of him in a pasture is when he was in Texas. The other ones of him are with our grandpa where he met him in Ceder City and hauled him home to Salt Lake. (He was great in and out of the trailer.:) I sure hope you get them!

Mr. Mully was purchased as a Prospect Horse for Sale by Kristin palmer of St. Lake City.
But I will tell you what is going on with him now. Mully is doing great! We are so attached to him, we just want to sit out in the pasture with him alllll day long! And he seems to be enjoying our company as well. He has a big pasture that he is turned out for about an hour and a half with lots of room to gallop, but he won't leave our sight! We have been playing with him, with balls and swimming noodles and he seems to be pretty bomb-proof. At first he hated being brushed, but now he thoroughly enjoys it. He is a FAST learner! A VERY smart horse! His previous trainer said that he used to spin around in his stall, but not once has he done that to us, he is always excited to come out and play.

Mr. Mully in Salt Lake City, Utah
Kristin hasn't ridden him yet, we are just letting him be a horse for his first few weeks here! He is learning to pick up his feet and stand quietly. We absolutely love him! He has been sooo much fun!
About the feeding, we found a sweet feed called Equine adult and he loves it! We have been mixing some Strongid in it as well. But as soon as you add something mashy he just won't eat it! "GROSS!" We will slowly start adding minerals and other things to make him look his best!
Thank you again for your time!!!
-Kimi and Kristin
p.s. I just want to say that I appreciate what you do! You must be so busy, but these horses deserve a second career. They are great animals! I can't believe how well-behaved Mully is for being an off-the-track thoroughbred! A 3-YEAR OLD OTTB!! I definitely recommend others to buy an off-the-track thoroughbred! They all deserve good homes!

Mr. Mully took chance to rest during a two day lay over at Kristin's grandpa's ranch in Texas.
Elizabeth,
Mr. Mully is safe and sound!! He showed around 7:30 p.m. at my vet clinic. I couldn't wait to get him out of the trailer!! He endured a little longer while we unloaded him at my friends house. When he got out I couldn't believe how adorable he was!! I knew I picked the right horse for me!! He is sooo cute!! He traveled well!! He was very hydrated and happy to be out and about. I sent some pictures while he was in Texas, hope you received them. I will also send some from his new home!! I'm so excited!!!
Thank you again for your help!!
Sincerely
Kristin
Mr. Mully was a Prospect Horse for sale in
He was purchased directly from his owner/trainer at the track.

© 2006 Copyright Bits & Bytes Farm /Egeland Wood & Zuber, Inc.