
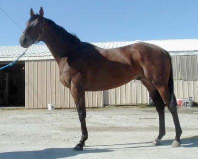
"King" is a beautiful dark bay four year old, 16.2 hands high gelding.
Before calling . . .
Please read:
"How to Buy a Prospect Horse" from Bits & Bytes Farm!
"Buying Our Horses" - What to expect
FAQs - Frequently Asked Questions about pricing and buying
We DO NOT give prices by
e-mail. Serious buyers are encouraged to call.
Still not sure about buying a horse directly from the track?
Read the Success Stories of horses we have sold from the farm and directly from the track. The horses with an asterisk in front of their names were all bought directly from the track - sight unseen!
Don't forget to check our Bargain Barn Horses for Sale.
Click here to make
Bits & Bytes Farm's PROSPECT Horses for sale page your default homepage.
Our 25 special horses are all safe. Read their story .
Anthium aka "Andy"
Artic Vic SOLD!
Artic Vicky FOSTERED
Bad Hombre SOLD!
"Brett" SOLD!
My Boy Vic aka "Chap"
"Darling" FOSTERED NEW Photos of her filly "Dottie"
Eddy's Departure NEEDS A NEW HOME
Finders Chance Now at Bits & Bytes Farm
Finders Girl Deceased
He Named Me Katie SOLD!
Hollywood Vic SOLD!
"Josh" SOLD!
Most Always a Lady SOLD!
My Sparky Boy SOLD!
Noshrinking Violet Deceased
Political Pull Now at Bits & Bytes Farm
"Pretty" SOLD!
"Skinny" SOLD!
Suzie Maewon SOLD!
Thistle NEEDS A NEW HOME
Violet Maewon Deceased
Viva Vicky SOLD!
Vicky Vicky Vicky SOLD!

"King" is a beautiful dark bay four year old, 16.2 hands high gelding.

"King" is 16.2 hands tall and still growing. He will be close to 17 hands when he is done growing.

prospect horses available through Bits & Bytes Farm |
||||||
Our horses > horses for sale > prospects > photos - "King""King" - SOLD! Congratulations to Jean Detert!"King" is a beautiful dark bay four year old, 16.2 hands high gelding. He will grow another inch or maybe two. He is solid and has great presence. He was easy for us to photograph. The groom says he is another barn pet. He is well bred and has been a good race horse but it is time for him to retire. His pedigree includes: Northern Dancer, Mr. Prospector, In Reality, Secretariat, Nearctic, Round Table, Raise a Native, Intentionally, Tim Tam, Bold Ruler, Nashua, Native Dancer, Nashrulla and Pricequillo.
|
||||||
|
||||||
© 2007
Copyright Bits & Bytes Farm /Egeland Wood & Zuber, Inc. |